
Robotic Data Automation (RDA)
Automate IT data prep & integration with new software bots
1 follower
Automate IT data prep & integration with new software bots
1 follower
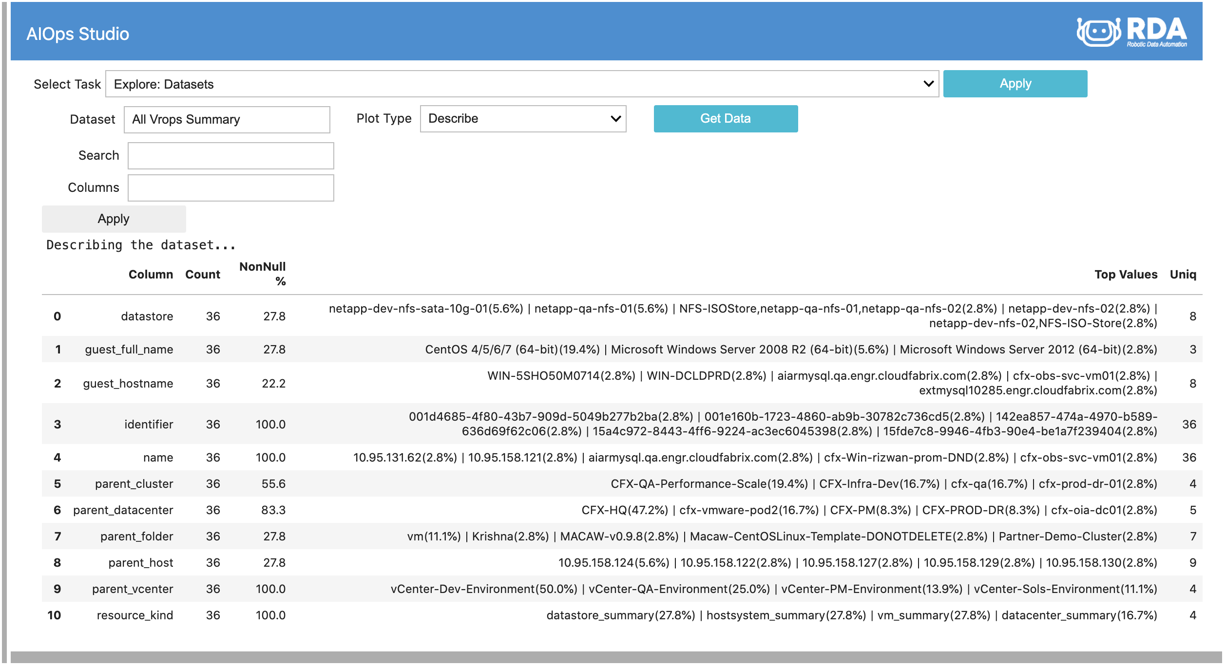
RDA automates IT DataOps with low-code software bots and pipelines authored in AIOps Studio. RDA lets you go from data to insights and action in minutes. ITOps personnel, professional service teams and MSPs can accelerate AIOps/Observability projects with RDA.




















Robotic Data Automation (RDA)